Мы используем куки-файлы. Соглашение об использовании
Аукцион

Продается коммерческая земля, 35,3 сот.

Площадь участка35,3 сот.
КатегорияУчасток поселений
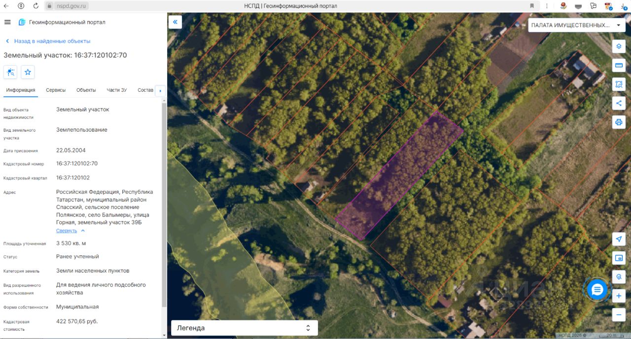
Данные получены с сайта ГИС Торги. Земельный участок, категория земель: Земли населённых пунктов, разрешенное использование: Для ведения личного подсобного хозяйства, общая площадь 3530+/-21 кв.м, кадастровый номер 16:37:120102:70, расположенный по адресу: Российская Федерация, Республика Татарстан (Татарстан), м.р-н Спасский, с.п. Полянское, с Балымеры, ул Горная, з/у 39Б Начальная цена: 530000 (Пятьсот тридцать тысяч) рублей
АукционОбъект реализуется посредством электронных торгов. Конечную информацию об оплате, дополнительных платежах и условия заключения договора смотрите в документах извещения к лоту, на сайте электронной торговой площадки.
lock

Войдите или зарегистрируйтесь
для просмотра информации

Просматривайте условия сделки и всю информацию об объекте
Сохраняйте фильтры в поиске и не вводите заново
Доступ к избранному с любого устройства
Неограниченное добавление в избранное
  • Инфраструктура
  • Похожие рядом
Помощь надёжных риелторов
Риелтор партнёр Циан поможет купить или продать любую недвижимость
Управляющая компанияID 128914650
  • 1 год 1 месяц на Циане
  • 10123 объявления
  • Начальная цена, аукцион
    530 000 ₽
    7 083 $
    6 056
    Цена за сотку
    15 015 ₽
    Налог
    УСН
    Управляющая компанияID 128914650